Собаки — подвижные животные, которым нужны ежедневные физические нагрузки. Отсутствие активности негативно сказывается на здоровье питомца, делает костную систему хрупкой и увеличивает риск заболеваний.
Болезни суставов у собак трудно лечить, особенно вывих тазобедренного сустава. В этом случае медикаментозное лечение неэффективно, а хирургическое вмешательство является сложной и дорогостоящей процедурой.
Разновидности вывихов
Под патологией понимается нарушение функции сустава из-за смещения его поверхности без повреждения кости. Выделяют несколько видов вывихов:
- Врожденные — возникают при неправильном развитии костной системы. Чаще всего страдают щенки, и лечение в таких случаях часто оказывается бесполезным.
- Приобретенные — возникают после травмы, например, из-за чрезмерной физической нагрузки.
- Паралитические — возникают из-за атрофии мышц, поддерживающих сустав.
- Привычные — возникают после растяжения связок или мышц, что приводит к слабой поддержке сустава и его постоянным смещениям.
- Патологические — развиваются на фоне заболеваний опорно-двигательного аппарата, например, при истончении костной и хрящевой ткани.
- Осложненные — при смещении костей повреждаются нервные окончания и сосуды.
- Невправляемые — возникают из-за старых травм или разрастания соединительной ткани между головками суставов.
Вывихи также делятся на полные и неполные. При полном вывихе происходит разрыв суставов, а при неполном — сохраняется небольшой участок соприкосновения костей.
По времени возникновения травмы вывихи классифицируются на:
- свежие (не более 2-3 дней);
- несвежие (от 3 дней до 2 недель);
- застарелые (свыше 2 недель).
По анатомической принадлежности выделяют вывихи:
- локтевого;
- челюсти;
- коленного или чашечки;
- тазобедренного;
- плечевого.
В ветеринарной практике также встречается вывих хвоста у собак. Наиболее серьезным считается вывих тазобедренного сустава, однако заболевание не всегда удается распознать вовремя.
Различные виды вывихов у собак мелких пород часто встречаются в домашних условиях, так как маленькие собачки могут травмировать конечности даже при простом спрыгивании с дивана или кресла.
Признаки вывиха
Вывих тазобедренного сустава у собаки трудно не заметить. Основной симптом — сильная болезненность и снижение двигательной активности. Питомец старается перенести вес на передние конечности и не может наступить на больную лапу. Симптомы патологии включают:
- жалобное скуление, иногда переходящее в вой;
- изменение формы сустава;
- поджатие больной лапы под тело;
- отек на поверхности сустава;
- потерю аппетита;
- снижение активности;
- вялость и апатию;
- запоры;
- крепитацию (хруст) в пораженном месте.
Ветеринары часто сталкиваются не только с вывихом, но и с другими травмами конечностей, например, разрывом связок. Врожденные патологии тазобедренного сустава могут указывать на дисплазию (смещение бедра). Больной щенок не может полноценно двигаться и запрыгивать на предметы, часто лежит с разведенными в стороны бедрами, как лягушка. С возрастом симптомы дисплазии усиливаются: появляется боль в тазобедренном суставе, особенно при ощупывании, и хромота. Собака все реже двигается, а при движении задняя часть тела как бы вихляет.
Дисплазия может привести к разрыву крестовидной связки коленного сустава, так как эта связка стабилизирует сустав во время активности животного.
Узнайте также о дисплазии суставов у собак.
Способы диагностики
Для установления диагноза ветеринару достаточно клинического осмотра собаки. Врач ощупывает конечности пациента и проводит тест на подвижность, сгибая и разгибая их, а также выслушивает скрипы и щелчки.
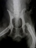
Для более точной оценки состояния потребуется рентгенологическое обследование. Рентген поможет выявить разрыв круглой связки и глубокие повреждения головки бедренной кости.
После получения результатов рентгена врач составляет план лечебных мероприятий.
Как устранить вывих с помощью лекарственных препаратов
Если у животного наблюдаются симптомы вывиха тазобедренного сустава, его необходимо срочно доставить в ветеринарную клинику. Самостоятельное вправление кости запрещено, так как это может привести к серьезным повреждениям и даже ампутации конечности. В клинике, под общим наркозом, ветеринар вправит смещенный сустав.
Владелец может оказать первую помощь питомцу до поездки в клинику. Алгоритм действий следующий:
- На область больного тазобедренного сустава приложите лед, завернутый в ткань, не более чем на 15 минут.
- Уложите собаку на здоровый бок.
- Исключите кормление, так как в клинике потребуется анестезия.
- Немедленно отвезите питомца к ветеринару.
Важно! Не давайте собаке обезболивающие средства без назначения ветеринара. Как лечить питомца наиболее эффективно, подскажет только специалист.
Вывих легкой степени можно вправить закрытым способом (без хирургического вмешательства) под анестезией, но только в первые часы после травмы, максимум в течение суток. После этого возможны рецидивы (повторное смещение). Если прошло более 24 часов или имеются осложнения, вправление вывиха проводится только оперативным путем.
Операция может включать следующие методы:
- Резекционная артропластика.
- Ушивание суставной капсулы.
- Трансартикулярная стабилизация (с использованием спиц или протезов).
- Протезирование круглой суставной связки.
После операции для обеспечения неподвижности травмированной области применяется фиксатор скакательного сустава.
Лечение зависит от тяжести вывиха, возраста и веса животного. Медикаментозная терапия может включать:
- Хондропротекторы — для восстановления хрящевой ткани, замедления патологических процессов и уменьшения болей.
- Противовоспалительные средства.
- Обезболивающие для собак при болях в суставах.
- Пищевая добавка, например, Хондроитин.
Лекарственные препараты подбираются только ветеринаром, так как требуют точной дозировки, которую может рассчитать только опытный специалист.
Также узнайте о витаминах для суставов собак.
Профилактика вывихов
Профилактические мероприятия включают простые правила ухода за животными:
- Перед покупкой щенка изучите его родословную, так как дисплазия суставов — наследственное заболевание.
- Щенкам и молодым собакам рекомендуется добавлять в рацион пищевые добавки, такие как глюкозамин и хондроитин.
- Следите за весом питомца и избегайте перекармливания, так как ожирение увеличивает риск травм суставов.
- Ограничьте физические нагрузки, которые могут привести к вывихам.
Виды вывихов суставов
Внезапная хромота — распространенная проблема у владельцев собак, часто вызывающая подозрения на растяжение или вывих. Однако не все владельцы понимают суть этих патологий и не всегда придают им должное значение. Вывих сустава — серьезная травма, которая может привести к осложнениям, если не провести своевременную диагностику и не оказать квалифицированную помощь.
Вывих сустава — это нарушение функции и анатомии, возникающее из-за смещения суставных поверхностей относительно друг друга, без нарушения их целостности.
Вывихи бывают врожденными и приобретенными (травматическими), полными и частичными (подвывихами).
При вывихе повреждаются окружающие мягкие ткани и внутрисуставные структуры: капсула, связки, кровеносные сосуды, суставной хрящ и нервы.
Среди вывихов суставов тазобедренный сустав занимает лидирующее положение. Он сложный и многоосевый, что позволяет ему свободно двигаться в нескольких плоскостях. Головка бедренной кости надежно располагается в вертлужной впадине, где стабильность обеспечивается капсулой сустава и круглой связкой.
У собак чаще всего встречается полный травматический вывих головки тазобедренного сустава в краниодорсальном положении (94% случаев) и каудовентрально по направлению к запирательному отверстию. Неполный вывих (подвывих) наблюдается у собак с дисплазией сустава.
Клинические признаки и диагностика вывиха тазобедренного сустава
При травматическом вывихе тазобедренного сустава наблюдается полное отсутствие опороспособности на травмированной конечности, припухлость в области сустава и асимметрия тазовых конечностей.
При пальпации выявляются болезненность, нестабильность и симптомы крепитации.
Лечение вывиха тазобедренного сустава
Чем раньше выполнено вправление вывихнутого сустава, тем лучше будет отдаленный клинический результат и ниже вероятность вторичного артроза.
Оптимальный срок для вправления — в первые часы после травмы.
Если с момента вывиха прошло от 12 до 24 часов, врач может попытаться вправить сустав без операции. Однако закрытая репозиция тазобедренного сустава часто оказывается неэффективной, и головка бедра снова выходит из вертлужной впадины.
После репозиции сустав требует иммобилизации, что сложно осуществить у животных из-за анатомических особенностей и невозможности обеспечить необходимый покой.
Наиболее надежным и эффективным методом лечения является операция.
Хирургические методы лечения вывиха
Существует несколько методик, которые могут обеспечить полное восстановление животного. Специалист выбирает метод репозиции и фиксации, учитывая такие факторы, как возраст, порода, масса тела, хронические заболевания, характер и тяжесть вывиха, а также сопутствующие травмы.
Метод ушивания капсулы сустава (капсулорафия)
Капсула сустава — основная анатомическая структура, стабилизирующая тазобедренный сустав. При вывихах происходит надрыв или разрыв ее элементов. После открытого вправления тазобедренного сустава выполняется плотное ушивание капсулы, что служит стабилизирующим элементом (рис. 1). После операции необходимо обеспечить покой животного в течение 14 дней.
Метод протезирования круглой связки
Метод заключается в протезировании круглой связки с использованием биосовместимого имплантата (рис. 2). Эта методика напоминает трансартикулярную стабилизацию, но вместо спицы в анатомическую позицию круглой связки вводится трансплантат. Остатки круглой связки удаляются. Капсула ушивается, и движения ограничиваются на 7-10 дней.
Метод трансартикулярной стабилизации
Суть методики заключается в фиксации тазобедренного сустава в правильном анатомическом положении с помощью металлической спицы, которая проходит через сустав и фиксирует его к дну вертлужной впадины (фото 2). В послеоперационный период животное ограничивают в движении: разрешены кратковременные прогулки на коротком поводке и содержание в ограниченном пространстве. Через 2-3 недели спицу удаляют, а сустав стабилизируется благодаря образованию околосуставной фиброзной ткани. Функция конечности постепенно восстанавливается.
Метод резекционной артропластики
Операция заключается в удалении головки бедренной кости, после чего сустав стабилизируется за счет образования фиброзной ткани в его полости (фото 3). Владельцам может быть трудно понять, как возможно восстановление функций конечности после удаления сустава. Чтобы это прояснить, обратим внимание на прикрепление грудной конечности к скелету: между лопаткой и осевой частью скелета нет сустава, и соединение осуществляется только через мягкие ткани (синсаркоз). То же самое происходит и с тазовой конечностью после операции.
Операция показана пациентам с вывихами на фоне дисплазии тазобедренных суставов и массой тела до 15 кг. Преимуществом данной процедуры является отсутствие имплантатов внутри сустава. Сроки восстановления зависят от массы тела животного: чем она меньше, тем быстрее восстанавливаются функции конечности.
В реабилитационный период животным с вывихами тазобедренных суставов рекомендуется физиотерапия и плавание.
Памятка владельцу собаки при подозрении на ТБС
При подозрении на вывих тазобедренного сустава у животного учтите следующее:
- Не пытайтесь вправить вывих самостоятельно. Это может вызвать сильную боль и усугубить повреждения суставных структур.
- Для осмотра и репозиции вывиха необходимы релаксация и обезболивание, поэтому не кормите животное за 10-12 часов до визита к врачу.
- При транспортировке уложите животное на ровную поверхность на бок, противоположный травмированной конечности.
- Не откладывайте визит в клинику. Если в первые 2-3 дня не провести лечение, могут возникнуть необратимые изменения в суставе.
Вывих тазобедренного сустава у собаки: лечение, симптомы и фото
Вывих тазобедренного сустава у собаки — это патологическое положение суставных структур, возникающее из-за внешнего механического воздействия. Чаще всего он происходит после ДТП, неудачных прыжков, ударов в область таза или резкого рывка за задние лапы. Диагноз устанавливается на основе визуального осмотра, рентгенографии и отсутствия опоры на лапу.
Краткие анатомические характеристики
Тазобедренный сустав (ТБС) — это сложный сустав, который функционирует как шарнир, позволяя вращение в любом направлении. Движения должны быть свободными, без боли и дискомфорта для собаки.
При визуализации раны и проведении операции важно избежать повреждения седалищного нерва (см. рис. № 19).
Типы повреждений ТБС (вывихи):
- острые;
- хронические (привычные).
Острые вывихи возникают внезапно, чаще всего из-за ДТП или механических травм. Хронические вывихи сопровождаются патологическими состояниями сустава, такими как дисплазия, болезнь Кальве-Пертеса или нарушения роста кости, что может изменять диафизарный угол.
При поступлении животного с подозрением на вывих тазобедренного сустава в ветеринарный центр «Рос-Вет» проводят стандартный осмотр, пальпируют поврежденную область и направляют на рентген. Без рентгенографии сложно точно визуализировать вывих и определить направление лечения.
Вывих тазобедренного сустава: памятка для владельца
Вывих тазобедренного сустава (ТБС) почти всегда сопровождается повреждением периартикулярных тканей, особенно при сочетанных травмах. Возможны как подвывих, так и полный вывих. Также может произойти разрушение суставной капсулы, разрыв связок, хрящей, сухожилий и сосудов, что приводит к обильному кровотечению.
Важно! Колоссальная ошибка заводчика — это несвоевременное обращение к ветеринарному хирургу. Спустя несколько дней ткани начинают рубцеваться, и восстановить сустав становится трудно или практически невозможно.
Застарелые вывихи ТБС не поддаются лечению. Собака, не получившая своевременную помощь, остается инвалидом. Неправильное положение головки ТБС в вертлужной впадине может привести к дальнейшей дегенерации сустава.
Тазобедренный сустав испытывает основную нагрузку, поэтому крупные и гигантские породы чаще поступают в ВЦ «Рос-Вет» с диагнозом «вывих тазобедренного сустава». Большие собаки также предрасположены к дисплазии ТБС.
Симптомы вывиха:
- сильная хромота и болезненность;
- видимая деформация сустава;
- удлинение или укорочение задней лапы;
- припухлость и отек.
В норме суставная впадина и головка ТБС хорошо сочетаются, хрящи не соприкасаются и не подвергаются разрушению. Сустав способен выдерживать значительные нагрузки, но может деформироваться при воздействии непреодолимых факторов.
Варианты терапии
В легких случаях, когда головка тазобедренного сустава (ТБС) незначительно выходит из вертлужной впадины, применяется консервативное лечение. Достаточно вправить сустав и зафиксировать лапу удерживающими повязками. Однако эффективность этого метода низкая: повторный вывих происходит в 40-50% случаев. Поэтому хирурги ВЦ «Рос-Вет» чаще предпочитают оперативное вмешательство, которое снижает риск рецидива до 10-15%.
Существуют следующие виды хирургического доступа:
- краниально-латеральный (реже дорсальный, при сочетании травмы с переломом);
- остеотомия большого вертела.
Вправить вывих эффективно можно только в первые 2-3 часа, максимум сутки после повреждения. В дальнейшем показана только операция. Возможные процедуры включают:
- фиксацию коленно-рычажкового соединения;
- закрытую репозицию с помощью штифта (De Vita);
- динамический трансартикулярный внешний остеосинтез;
- открытую репозицию с ушиванием капсулы;
- трансартикулярную фиксацию с помощью спицы Киршнера или штифта Штеймана;
- коррегирующую остеотомию бедренной кости;
- резекционную артропластику и другие.
Выбор техники зависит от результатов первичного обследования и характера травмы собаки. В любом случае вывих тазобедренного сустава требует лечения, иначе животное может остаться инвалидом.
Первые минуты травмы: что делать
Если ваш питомец получил травму тазобедренного сустава (ТБС), немедленно доставьте его в ветеринарную клинику. Чем быстрее начнется лечение, тем выше шанс полного восстановления функций сустава.
Порядок действий:
- Уложите собаку на бок.
- Приложите лед к поврежденной области на 10-15 минут (если рана закрыта, нет перелома и кровотечения).
- Не кормите собаку, так как вправление вывиха проводится под общим наркозом.
Категорически запрещено самостоятельно вправлять вывих ТБС! Это можно сделать только после рентгенографии и понимания характера травмы, а также знания анатомии. Анальгетики следует давать только в исключительных случаях. Лучше всего сразу доставить собаку к ветеринару-хирургу для оказания квалифицированной помощи и предотвращения нежелательных последствий.
Реабилитационный период
После успешной операции владельцу собаки предстоит задача по восстановлению питомца. В первые дни необходимо обеспечить полную неподвижность поврежденной конечности, чтобы избежать повторной травматизации и развития дистрофических явлений в мышцах и связках. Для этого животному назначают физиотерапию:
- лазеротерапию;
- гидротерапию;
- кинезиотерапию;
- пассивную мобилизацию.



